Consilierii locali au fost de acord, vineri, să se înceapă negocierile pentru cumpărarea construcțiilor de pe Splaiul Tudor Vladimirescu 16A afectate de construirea podului din str. Jiul. Vorbim și despre câteva ruine: un teren de handbal cu tribune, un teren de tenis, o platformă betonată plajă, cu grup sanitar, o terasă acoperită, stație de radioficare, un bazin de înot cu cabine și clădire club. Conform documentației primăriei, valoarea de piață a construcțiilor se ridică la 1.060.880 de lei, echivalentul a 224.140 de euro, fără TVA. Cu tot cu TVA se ajunge la 1,2 milioane de lei, adică în jur de 266.000 de euro.

Baza sportivă de pe Splaiul Tudor Vladimirescu aparține firmei SC A Invest SRL, dar terenul pe care se află construcțiile este al primăriei, fiind concesionat pe mai mulți ani societății respective. SC A Invest SRL a fost înființată în 2005 și a avut aproape în fiecare an un singur angajat, cu mențiunea că pe anul 2018 a raportat, conform listăfirme.ro, un număr de doi angajați și datorii uriașe, în valoare de 9 milioane de lei.
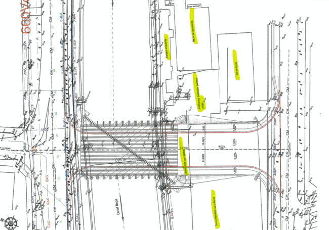
Proiectul tehnic e gata
„La Podul Jiul tocmai ne-a fost predat proiectul (proiectul tehnic – n.r.). Pe varianta finală putem vedea că nu s-a putut evita trecerea pe o porțiune dintr-un domeniu care este dat pe termen lung unei persoane private. Terenul aparține primăriei, dar câtă vreme există construcțiile, el e în administrarea acelei persoane private. Este chiar în dreptul străzii Jiul, e în paragină, pe malul stâng al Begăi. Noi trebuie să luăm construcțiile, o parte din bazinul acela e prinsă, nu știu chiar exact, acum se face delimitarea. S-a dat mandat comisiei de negociere cu terții să poarte negocierea de rigoare. Tot ce ne dă proiectantul trebuie să avem”, a explicat, pentru TION, primarul Nicolae Robu.
Odată ce comisia de negociere cu terții bate palma cu proprietarul bazei sportive de pe malul Begăi, primăria poate trece la pasul următor: solicitarea autorizației de construire pentru Podul Jiul. Abia apoi poate fi lansată licitația pentru execuție.

„Dacă rezolvăm repede problema, dăm drumul la licitația pentru execuție imediat. Avem aviz de mediu, avem toate avizele. Am avut o discuție cu proprietarul acum mai multă vreme, așa una anticipativă. A fost constructiv, a zis «e în regulă, și eu vreau să nu tot mergem de ani de zile prin instanță, vreau să găsim o formulă amiabilă» și nu se poate găsi decât așa, în comisia de negociere cu terții”, a mai precizat edilul-șef.
Două benzi pe sens, trotuare și piste de biciclete
Studiul de fezabilitate pentru viitorul pod peste Bega din prelungirea străzii Jiul arată că structura va costa 5 milioane de euro. Este însă o estimare, iar suma exactă ar urma să o aflăm după licitația pentru execuție.
Conform proiectului întocmit de firma VCE Vienna Consulting Engineers SRL, viitorul pod din dreptul străzii Jiul este similar cu unul din Manchester. Un pod cu un singur arc de susținere există și în Glasgow, Scoția, dar cel prezentat de primarul Robu pare să semene mai mult cu Hulme Arch Bridge din Manchester, Anglia. Va avea patru benzi de circulație, trotuare și piste de biciclete pe ambele părți și va fi iluminat artistic.
Podul Jiul va avea o lungime totală de 118,18 ml (pod + rampe + longitudinale), racorduri stradale, inclusiv rampe perpendiculare de 82 ml și o lungime efectivă de 40,60 ml. Lățimea acestuia va fi de 25,70 ml. Gabaritul navigabil asigurat este de 4,30 ml, se mai arată în indicatorii tehnico-economici.
Valoarea de investiție este estimată la 22,7 milioane de lei, aproape 5 milioane de euro, din care 19,8 milioane de lei doar construcțiile și montajul. Durata de execuție este de 18 luni.
Articole pe aceeași temă:
Podul Jiul costă aproape 5 milioane de euro și va fi construit într-un an și jumătate
Trimite articolul
XPodul jiul este inutil, Prioritar este Pasajul Solventul cu pod peste Bega ,conexiune cu Bdul Dambovita .
Sa plece Robu si NU SE MAI FACE un pod inutil…
Un proiect pe care nu-l asteapta nimeni… Propietarii din zona sunt disperati, se termina cu linistea…
Pod inutil (oricum nu il contruieste, pt ca Robu doar minte si minte)… traficul dinspre Jiul spre Maria e infim. E nevoie de Solventul !
Cand nu ai pe ce sa arunci cu banii orasului, inventezi ceva… #idiocracy
Un pod care nu-și are rostul o fi ceva coios in zona și să nu mai ocolească are nevoie de pod altfel nu îmi explic ce rol are podul asta
E mișto proiectu’, asa pe desen: 4 benzi, piste de biciclete, trotuare, design deosebit, țâță de mâță… ce sa mai… DAR daca te uiti putin pe harta o sa vezi ca la 200 m mai sus e un alt pod si la 600 m msi jos e altul, care tocmai s-a renovat. Trebuie sa fii foarte batut in cap ca sa te gandesti sa faci un pod nou care da intr-o strada ingusta (Splaiul T. Vladimirescu), in loc sa largesti si sa optimizezi circulatia pe podul dintre Maria si Catedrala, unde e artera. E ca in filmele cu saraci-prosti si fuduli, pe cuvant. Sunt timisorean din strabunici, dar un primar mai prost ca asta eu nu cred ca a avut Timisoara.
-
Adevar graiesti, intru totul de acord.
Abia acum, după ani de proiectare și promisiuni au aflat de baza? Putea să fie deja cumpărată și demolată.
Prea frumos ca să poată fi adevărat… Dacă totuși va fi realizat, care va fi înălțimea maximă a navelor ce-l vor subtraversa?
Dai un ban dar cumperi ceva frumos pentru partid :))
In zona va creste foarte mult traficul odata cu constructia blocurilor de pe actualul amplasament al fabricii Paltim. Nu e rau ca se face acest pod dar nu cred ca era prioritar pentru Timisoara.
Singurul obstacol este executia.
Despre arhitectura? Se potriveste ca nuca-n perete cu arhitectura din Timisoara. Nu stiu de ce trebuie sa pocim podurile daca facem unul nou sau reparam pe ala vechi.
Daca vopseste bara de sus in culorile curcubeului, va fi podul iubit al unor categorii de oameni, Auia o sa-l “iubeasca” pe Robu pentru initiativa!
Nu vad acolo piste pentru biciclete, piste pentru trotinete? Oare la sfarsit vine si ne deseneaza ceva pe asfalt, …. ca sa fie?
Sper ca in Studiile alea de fezabilitate facute cu gramada sunt amintite si piste de bicicle. Sau este studiul depasit si trebuie unul nou.
Mai bine sa isi puna toate resursele si sa rezolve odata zona Solventul cu pasaj si pod acolo unde ar fi cu adevart util. Sa nu mai zic de pasaj in zona UMT sau in zona Piata Consiliul Europei. Un pod total inutil.
In loc sa decongestionam traficul in zona centrala facem pe dos, poduri necesare sunt in zona Solventul si str. Bobalna
Un pod total inutil !
Descărcarea pentru podul Ștefan cel Mare (bv. Dragalina) spre pasajul Jiul se poate face prin pasajul Solventul (deschidere str. Bolintineanu) și lărgirea podului Maria-Catedrală (mai ales că are pasaj de subtraversare).
Pe de altă parte, administrația continuă obsesiv dezvoltarea infrastructurii auto – principalul poluator, în detrimentul infrastructurii de biciclete/role/trotinete/ etc, chiar și pietonale.
Majoritatea marilor orașe reduc traficul rutier din zonele centrale, numai în Timișoara se tot amplifică.
Nu autobuze electrice, nu inele-centură de ocolire a orașului, nu piste de biciclete securizate (fără share pe trotuare cu pietonii – sursă de accidente).
Singurul “obstacol” este insusi PRIMARIA, insusi Robul………..in rest s-ar face multe, doar ca firmele lor ne mananca incetul cu incetul.
In Romania toti isi dau cu parerea. Si negativismul e la el acasa. Cel mai mult ma deranjeaza ca orasul in care m-am nascut si crescut nu se face exceptie.
Puncte:
1. Podul este foarte necesar prin prisma inelului 2 pe care multi se fac ca nu il vad. Cand va fi realizat si traficul va lua amploare, se va vedea ca a fost o propunere buna.
Faptul ca exista alte poduri in zona (la 200 m in amonte si 600 m in aval) nu ajuta de loc, repet prin prisma inelului 2. Ce face inelul asta 2? Ajuta sa ocolest centru si cartierul Cetate si descongestioneaza partial sensul de la Marasit si de la Punctele Cardinale
2. Si eu mi-s timisorean nascut si crescut si i-mi iubesc orasul (istorie, traditie) la fel ca familia; si nu vad cu ce schimba asta gandirea unuia care are o viziune in comparatie cu cineva care sta tot timpul cu nu-ul in brate.
3. Mantra ca pe partea cealalta a podului strada are sens unic e falsa. Asa cum s-a facut cu ani in urma sesnul unic, asa se va schimba odata cu podul treaba asta. Ca doar tot edilii Timisoarei au stabilit la un moment dat asta, nu extraterestrii. In sensul ca de la intersectie cu noul pod NU VA MAI FII SENS UNIC catre Maria (Flora). Iar strada e destul de lata ca sa permita doua benzi pe sens plus piste de biciclete si trotuare. Atata doar ca nu va mai fii spatiu verde pe acea bucata pana la Palatul Apelor.
La nevoie se poate restrictiona viteza la 30 KMh pe acea bucata (vre-o 200 de metri) pentru protectie sonica, din cauza spitalului CFR.
Acuma ni-s invatati sa trecem prin fata catedralei / TM 700 / Conti. Dupa ce inelul 2 va prinde contur, centrul orasului va fi cel putin partial descongestionat. Iar odata cu podul de la ILSA se va descongestiona si mai mult. Apropo, impotriva podului de la ILSA n-aveti obiectii? Ca si acolo sund alte doua poduri, unul care chiar nu este prea circulat (in aval). Dar sa ne plangem ni-s buni. Asta nu-i buna, aia nu-i buna.
4. Eu as inchide si inelul 1 prin fata pe la Opera, incercand sa folosesc pasajul existent (daca se poate), prin subteran. Iar atunci cele 2 sensuri giratorii (Marasti si Punctele Cardinale) vor fi la maxim descongestionate (impreuna cu inelul 2 de care tocmai am scris). Din pacate au sarit toti (ma rog, multi) pe Robu ca nu e nevoie (desi e MARE NEVOIE) iar Robu nu a avut destul “cojones” sa mearga cu ideea inainte. Si e pacat.
Oameni buni, fiti pozitivi!
-
As fi pozitiv prietene dar tot in pasajul Jiul dăm…Nu se putea prioritiza o alternativă sud-nord sau sud-vest de genul Solventul?
Total inutil si din ce se vede prost facut. Inca un gat pentru traficul pietonal si al bicicletelor, care iar vor sta la semafoare o vesnicie.
Hai sa ne ocupam de centura si problemele adevarate de transport. Sper din toata inima sa nu apuce sa inceapa si porcaria asta, ca se va lasa cu proteste.
Ce tampenie de proiect! Un Calatrava, da mai mic! Asa ca de Mica Viena. :)))) Ce penibil…. Bega e o apa mica , linistita, cu maluri frumoase, nu cred ca are nevoie de gesturi mari, spectaculoase…Bun simt si masura… Cine naiba le face astora simularile astea 3d?
Am si eu o intrebare. Cine i smecheru de la SC A Invest SRL care va lua vreo vreo 500 de mii de parai din bani nostrii. Intreb pentru un prieten mai prost.
-
Acelasi care a primit stradul cadou de la primarie,in urma cu cativa ani?Ilie Nastase?
Colosul e Iulius Mall. Își imaginează că fluidizeaza ceva la podul Jiul….
Un pod inutil pentru inca 10 ani,mai bine faceti legatura intre Mosnita si Ghiroda ,acolo exista un pod de ani buni dar netraficat,toti care vin din acea parte si merg pe Lugojului trec pe Calea Buziasului.
Ia ghiciti a cui e baza sportiva ce urmeaza a fi cumparata?Ilie Nastase a primit-o cadou de la Primaria Timisoara ,in urma cu cativa ani ,sa o amenajeze si cred ca a ramas pe numele ex sotioarei sle de atunci,.Brigitte Sfat…
De ce nu amendati grav proprietarul cladirilor pt ca le tine in paragina?!?!? In asa fel incat sa va roage el sa le preluati, gratis?! Sigur proprietarul nu e un fost om al muncii….si el asteapta un artificiu sa puna mana si pe teren, altfel la ce bun plateste impozit pe ceva ce nu foloseste!?